World
More News
-
Rwandan opposition leader freed from jail
Rwandan musician Kizito Mihigo was arrested in 2015 and jailed for 10 years for conspiring to assassinate Kagame
-
Young elephant electrocuted in Thailand
Wild elephants have dwindled in Thailand to about 2,700 from peak of over 100,000 in 1850
-
In pictures: Hurricane Florence ravages North Carolina
Tropical storm left 5 dead in its wake
-
Viral picture shows Indian troops dragging body of Kashmiri freedom fighter in IoK
Exceeds all codes of justice, says Kashmiri journalist
-
At least 24 dead in Indonesia ferry accident
The cause of the accident is unclear
-
Russia holds naval drills in Sea of Japan
Defence Minister Sergei Shoigu has described Vostok-18 as Russia's biggest ever war games
-
Turkish police detain hundreds of protesting airport workers
The protest broke out after a shuttle bus accident on Friday in which 17 workers were injured
-
Pompeo accuses Russia of actively working to undermine North Korea sanctions
Russia seeks push for changes to an independent report on sanctions violations, says US ambassador to UN
-
Indian shopkeeper attacks boy for 'stealing' INR200, posts video on Facebook
The suspects held the boy upside down and beat him with batons till the skin on his back was torn apart
-
G20 trade ministers say WTO reform 'urgent' as new Trump tariffs loom
Protesters burn makeshift American flags and chant against free trade orthodoxy in Argentina
-
Four dead as Florence unleashes torrential floods on Carolinas
A woman and her baby were killed when a tree fell on their house
-
Iran says Saudi Arabia and Russia have taken oil market 'hostage'
US President Donald Trump seeks to impose fresh sanctions on Tehran and reduce its oil sales to zero
-
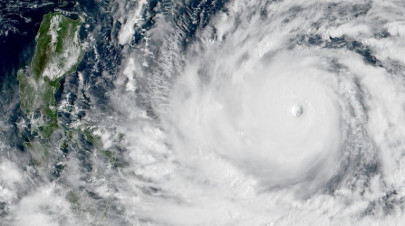
Super Typhoon 'Mangkhut' strikes northern Philippines
No immediate reports of casualties after a category 5 storm
-
Three killed in Mexico City tourist hotspot, police chase 'mariachi' gunmen
Incident took place at a major tourist destination packed with mariachi bars
-
Turkey-Russia discord over Idlib defers regime offensive, for now
Russia and Turkey are on opposite sides of the conflict, but key global allies
-
Afghan military helicopter crashes, kills all five aboard
Crash was caused by technical difficulties rather than a militant attack
-
Archbishop of Washington prostrates himself at mass for abuse victims
A sweeping grand jury report released in August revealed credible allegations against more than 300 predator priests
-
EU pleads for cooperation to avoid clock-change chaos
European Commission wants to end longstanding practice of putting clocks forward an hour in spring and back in autumn
-
Trump lashes ex-secretary of state Kerry for Iran meetings
Former Secretary of State John Kerry negotiated 2015 Iran nuclear deal which Trump scrapped this year
-
Three Palestinians shot dead in Israel-Gaza border clashes
At least another 50 people are wounded, as Palestinians demonstrate in different spots along the Gaza border
-
Ancient altar reveals Mayan 'Game of Thrones' dynasty
Mayan culture reached its apogee during classical period from 250-900 before going into decline over next 300 years
-
A lady vanishes: In China, a movie star disappears amid culture crackdown
The real-life drama has been playing out at a time when Beijing is tightening the reins on popular culture
-
Ex-Trump aide Manafort pleads guilty, to cooperate with Mueller probe
Manafort is already convicted in a separate jury trial on eight counts related to financial fraud in August
-
Hurricane Florence smashes into US East Coast, rescuers scramble
About 1.7 million people in North Carolina, South Carolina and Virginia are under evacuation orders
-
Sri Lanka seeks UN reprieve over war crimes probe
President Maithripala Sirisena set to ask UN General Assembly to allow Sri Lanka to resolve war crime allegations
-
Gas explosions drive thousands from homes in Boston suburbs
Blasts destroy scores of homes and other buildings which left more than 18,000 without power and out of their homes
-
Rain ruins one of Norway's richest men
The 47-year-old power trader says he now risks personal bankruptcy
-
India mystery fever death toll rises to 42
Uttar Pradesh state government forms medical teams to look into cases and central team to look into deaths
-
What is so special about this panda?
Brown pandas have only been seen in the wild on a handful of occasions and Qi Zai is the only one in captivity
-
Russian warships hold drills in Bering Sea in huge military exercise
Ministry of Defence air footage of mock-up rescue operation in the Bering Sea
-
Situation in Yemen's Hodeida 'alarming', aid at risk: UN
According to UN civilians in Yemen's Hodeida province continue to face severe shortages of food, water and medicine
-
Philippines raises alert as super typhoon hurtles closer
State weather service raises 'signal four' alert, second-highest storm warning in the country
-
Australia PM apologises over use of 'explicit' song
The clip featured Australian treasury MPs raising hands in Parliament
-
Skripal suspects say were in UK as tourists, deny murder attempt
The men insist that they do not work for Russia's GRU military intelligence
-
Malaysia arrests launderette cat killers
Police striving to nab absconding accomplice
-
'I will rape you': female journalists face 'relentless' abuse
Female journalists face 'relentless' barrage of attacks and harassment
-
Bangladesh unions reject $95 minimum wage for garment workers
Bangladesh unions staged street protests Friday to reject what they called an 'inhuman' $95 a month minimum wage
-
Two Koreas open joint liaison office in North
'A new chapter in history is open here today', says South Korean unification minister
-
Canada named world's most 'spiritual' country
New ranking has named Canada as most spiritual country in the world
-
Indian teen 'commits suicide' after girlfriend 'gang-raped'
Youngster's kin failed to alert police, SP says
-
Chairs placed in glass, diagrams of footsteps: Kim Jong Un's visits memorialized in North Korea
Commemorating 70th anniversary of North Korea’s foundation
-
India man 'desperate for son' throws daughter from terrace
Two-year-old fighting for life
-
Girl 'gang-raped' by 12 in India's Haryana
Three suspects abducted victim after she left home for tuition
-
Palestinian mission shuttered in Washington
State Dept officials on Monday ordered the office shuttered to pressure Palestinians to enter peace talks with Israel
-
US foreign-born population swells to highest in over a century
Illegal immigrants can be more difficult for surveyors to locate
-
Afghan conflict could be deadlier than Syria in 2018: analysts
Trump's strategy failing to move the needle on the battlefield
-
War, famine and fear: Yemeni cinema fights back
Telling the story of a war and its aftermath in Yemen through a handful of films and documentaries
-
Pentagon protests after intercept of Russian bombers
Tensions between Russia and the US and its NATO allies are running at levels not seen since the Cold War
-
'Once in a lifetime' hurricane weakens, begins lashing eastern US
Wind speed eases but storm still remains life-threatening
-
Indian man fills potholes out of love for dead son
Thousands of Indians are killed every year in accidents caused by potholes

















































